Destacados
Últimas noticias
Los dos principales ríos de Santiago se desbordan tras fuertes lluvias
Los dos principales ríos de Santiago, el Mapocho y el Maipo, se desbordaron este viernes en algunos sectores después de dos días de intensas lluvias en la zona central de Chile, que forzaron al cierre de vías y la evacuación de 359 personas.
El río Mapocho de Santiago se desborda tras fuertes lluvias
El río Mapocho, que cruza la ciudad de Santiago, se desbordó este viernes en algunos sectores después de dos días de intensas lluvias en la zona central de Chile, lo que forzó el cierre de una vía y la evacuación de 359 personas.
Francia registró hasta 35.000 muertes vinculadas con el calor del verano desde 2014
Entre 30.000 y 35.000 personas murieron en el verano en Francia desde 2014 debido a los efectos del calor, estimó el viernes la agencia francesa de Salud Pública, destacando que esta mortalidad no se refería solamente a los períodos de olas de calor.
Pekín, en alerta roja por el calor sofocante en el norte de China
El fuerte calor que asola el norte de China puso el viernes en alerta roja una importante parte del país, incluida su capital Pekín, que en la víspera batió un récord de temperatura para un mes de junio.
Cumbre climática de París completa trabajos con la presión de imaginar nuevo orden financiero
La cumbre climática de París celebra este viernes su segundo y último día de trabajos, con la presión de alumbrar resultados que propicien un nuevo orden financiero mundial capaz de acomodar plenamente la lucha contra el calentamiento global.
Consulta sobre Yasuní es un precedente "para todo el mundo", afirma ambientalista ecuatoriana
La consulta prevista el 20 de agosto en Ecuador para decidir si se deja bajo tierra el petróleo del parque amazónico de Yasuní es un "precedente" para "todo el mundo", afirmó la activista ecuatoriana Helena Gualinga este jueves en París.
El calor extremo trae temperaturas récord en el norte de China
Varias zonas del norte de China sufrían este jueves temperaturas de más de 40º C grados, las más altas en años, que llevaron a las autoridades a tomar medidas de precaución.
El Supremo español estudia una demanda contra el gobierno por inacción por el clima
El Tribunal Supremo español comenzó a estudiar este martes una demanda de Greenpeace y otras ONG ecologistas contra el gobierno al que acusan de no hacer lo suficiente frente al cambio climático, informaron la corte y las organizaciones.
Glaciares del Himalaya se derriten 65% más rápido que en década anterior (estudio)
Los glaciares del Himalaya, que brindan agua para casi 2.000 millones de personas, se derriten más rápido que nunca debido al cambio climático y exponen a comunidades a desastres impredecibles, advirtieron científicos el martes.
Esperanzas e incertidumbres sobre futuros santuarios en altamar
¿Cómo proteger las reservas marinas alejadas de las costas? El nuevo tratado sobre aguas internacionales o la altamar permitirá crear santuarios vitales para los océanos, pero todavía subsisten muchos interrogantes.
Naciones Unidas adoptará un histórico tratado para proteger la altamar
El primer tratado internacional para proteger la altamar deberá ser adoptado el lunes por Naciones Unidas en lo que constituye un histórico acuerdo medioambiental que puede salvar ecosistemas vitales para la humanidad.
Europa es el continente que se calienta más rápidamente
Europa es el continente que se está calentando más rápidamente a causa del cambio climático en todo el mundo, y su temperatura media ya es 2,3º C superior en relación a la era preindustrial.
Una cumbre en París para repensar las finanzas climáticas
Un nuevo paradigma financiero capaz de proteger mejor a los países del Sur contra el calentamiento global y el endeudamiento protagonizará el jueves y viernes una cumbre internacional en París, con mandatarios, directivos de instituciones y expertos climáticos.
Ola de calor asfixia a millones de mexicanos
Mientras Roberto se esfuerza por trabajar bajo un sol implacable, Wendy batalla para que la comida no se le pudra. La ola de calor que golpea a México deja ocho muertos y trastoca la vida de millones de personas.
El ciclón Biparjoy deja una estela de destrucción a su paso por la costa de India
El ciclón Biparjoy mató a dos personas, derribó el tendido eléctrico y arrancó árboles de raíz a su paso por la costa de India, pero la tormenta fue más clemente de lo que se pronosticó.
Pekín supera los 39 °C, récord de calor para mediados de junio
La capital de China registró este viernes una temperatura de 39,4 grados centígrados, un récord para mediados de junio, informó el servicio de meteorología nacional, en momentos en que parte del país sufre una ola de calor.
Prohíben regar en el sureste de Inglaterra por falta de agua
Dos regiones del sureste de Inglaterra serán sometidas a una prohibición de riego ante la escasez de agua, en el inicio de un verano que amenaza con ser más seco de lo habitual, informó el viernes la compañía de suministro de agua.
El ciclón Biparjoy toca tierra en India y azota las costas hasta Pakistán
El ciclón Biparjoy tocó tierra este jueves en el oeste de India, en un momento en el que más 175.000 personas han sido evacuadas por el temor de que la tormenta provoque una "destrucción total".
Récord mundial de temperatura media al inicio de junio, según el servicio europeo Copernicus
La temperatura media mundial a principio del mes de junio, en los inicios del verano en el hemisferio norte, registró un récord por un "margen sustancial", informó este jueves el servicio europeo Copernicus.
Una clínica en Sudáfrica rehabilita a pingüinos amenazados
Decenas de pingüinos africanos en un estado lamentable, amenazados de extinción por el cambio climático y la actividad humana, son vendados, suturados y puestos de nuevo en pie en una clínica en el sur de Sudáfrica.
Greta Thunberg termina su huelga escolar de los viernes tras obtener el bachillerato
Recién graduada, la joven sueca activista del clima Greta Thunberg anunció el viernes que pondrá fin a su icónica huelga escolar tras haber terminado los estudios secundarios en su país.
El fenómeno meteorológico El Niño ha comenzado
El fenómeno meteorológico El Niño, con consecuencias para todo el planeta al propiciar fenómenos climáticos extremos, ha comenzado, informó este jueves la Administración Oceánica y Atmosférica de Estados Unidos (NOAA, por sus siglas en inglés).
Los incendios en Canadá cubren Nueva York de una niebla apocalíptica
La provincia canadiense de Quebec esperaba con impaciencia la llegada de refuerzos para combatir unos virulentos incendios cuyo humo cubrió Nueva York y otras partes de Estados Unidos de una niebla apocalíptica.
La deforestación en la Amazonía cae un 31% en la gestión de Lula
La deforestación en la Amazonía brasileña cayó un 31% en los primeros cinco meses de la administración del presidente Luiz Inácio Lula da Silva, en comparación con el mismo período del año pasado, informó el gobierno este miércoles.
Quebec arde y el humo alcanza a Estados Unidos
Convertido en epicentro de incendios forestales que arrasan gran parte de Canadá, la provincia de Quebec espera con impaciencia la llegada de refuerzos internacionales para combatir el fuego, mientras el humo de los 150 incendios aún en curso alcanza a Estados Unidos.
El jefe de la agencia de la ONU para el clima defiende al polémico presidente de la COP28
El presidente de la Conferencia de la ONU para el clima que se celebrará en diciembre en Dubái (COP28), Sultán al-Jaber, tiene una "visión única" para las negociaciones, considera el jefe de la agencia de la ONU para el Clima, Simon Stiell.
El presidente de la COP28, en la mira en las nuevas negociaciones climáticas
Las negociaciones sobre el clima auspiciadas por la ONU comienzan este lunes en Alemania, con el presidente emiratí de la próxima COP28 en Dubai, Sultán al-Jaber, en la mira de expertos y políticos que dudan de su independencia con respecto a los comnbustibles fósiles.
Un muerto y tres desaparecidos por lluvias torrenciales en Japón
Lluvias torrenciales en Japón dejaron una persona muerta y tres desaparecidas, anunciaron el sábado las autoridades, que habían ordenado la evacuación de cientos de miles de habitantes.
Un muerto y dos desaparecidos por lluvias torrenciales en Japón
Lluvias torrenciales en distintas áreas de Japón dejaron una persona muerta y dos desaparecidas, dijeron el sábado las autoridades, que ordenaron la evacuación de cientos de miles de habitantes por los restos del tifón Mawar, ahora degradado a tormenta tropical.
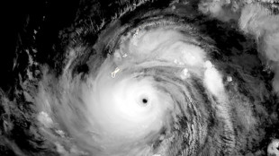
Japón insta a evacuar a cientos de miles de habitantes por las lluvias torrenciales
Las autoridades japonesas instaron el viernes a cientos de miles de personas a evacuar sus casas por las fuertes lluvias de la tormenta tropical Mawar, que provocó el desbordamiento de ríos y dejó al menos dos desaparecidos.
Japón insta a evacuar a cientos de miles de habitantes por lluvias torrenciales
Las autoridades japoneses instaron el viernes a cientos de miles de personas a evacuar varias localidades del centro y el oeste del archipiélago debido a las lluvias torrenciales de la tormenta tropical Mawar.
La negociación mundial sobre los plásticos, bloqueada por un desacuerdo sobre el método de aprobación
Los 175 países reunidos desde el lunes en París para avanzar en el borrador de un tratado contra la contaminación por plástico no pudieron aún iniciar los debates sobre el fondo de la cuestión, por desacuerdos sobre las reglas de aprobación del texto.