Featured
Last news
Ottawa mayor declares state of emergency over 'out of control' Truckers' protest
The ongoing truckers' protest in the Canadian capital is "out of control," the Ottawa mayor said Sunday, announcing a state of emergency as the city center remained blocked by opponents of anti-Covid measures.
No clear favorite as Costa Ricans elect new president
Costa Ricans voted for a new president Sunday from a crowded field of candidates, with no clear favorite to tackle a worsening economy in one of Latin America's stablest democracies.
Tunisian president dissolves top judicial watchdog, alleging bias
Tunisian President Kais Saied on Sunday dissolved a top independent judicial watchdog, accusing it of bias in his latest controversial move since he sacked the government last year.
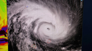
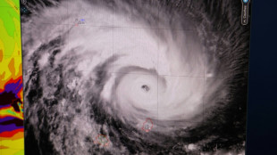
Cyclone Batsirai kills 10, displaces tens of thousands in Madagascar
Cyclone Batsirai killed at least ten people and displaced nearly 48,000 when it struck Madagascar overnight, the national disaster management agency said on Sunday.
Firing from Afghanistan kills 5 Pakistan troops
At least five Pakistan soldiers were killed by firing from neighbouring Afghanistan, Islamabad said Sunday, in an attack claimed by the Pakistani Taliban.
Ukraine plays down Russian invasion fears as US sounds alarm
Ukraine on Sunday pushed back at "apocalyptic predictions" over a potential Russian invasion, after officials in the United States sounded dire warnings that Moscow had stepped up its preparations for a major incursion.
Ukraine plays down Russian invasion risk as US sounds warning
Ukraine's presidency on Sunday insisted the chance of resolving soaring tensions with Russia through diplomacy remained greater than that of an attack, after the US warned Moscow had stepped up preparations for an invasion.
Cyclone Batsirai kills six, displaces tens of thousands in Madagascar
Cyclone Batsirai killed at least six people and displaced nearly 48,000 when it struck Madagascar overnight, the national disaster management agency said on Sunday.
Olympic diplomacy blitz nets Argentina for China's Belt and Road
China welcomed Argentina into its global Belt and Road Initiative Sunday as President Xi Jinping capped a weekend of frenetic diplomatic activity on the sidelines of the Winter Olympics.
Cyclone Batsirai weakens after hitting Madagascar, floods feared
Cyclone Batsirai weakened overnight but floods were still expected due to heavy rain after it hit eastern Madagascar with strong winds, the island's meteorological office said Sunday.
Philippines' raucous election campaign season to kick off
Philippine election candidates will hit the hustings Tuesday for the official start of campaigning, with the son and namesake of former dictator Ferdinand Marcos leading the presidential race as he seeks the ultimate revival of the family brand.
US officials say Russia preparing full-scale invasion of Ukraine
Russia has stepped up preparations for an all-out invasion of Ukraine but it is not clear if Moscow has decided to take such a step, US officials have said citing intelligence assessments.
Costa Ricans choose among 25 presidential candidates
Costa Ricans head to the polls Sunday with a crowded presidential field and no clear favorite for tackling growing economic concerns in one of Latin America's stablest democracies.
French far-right hopeful Zemmour attacks welfare handouts
French far-right presidential candidate Eric Zemmour on Saturday used a meeting in the northern city of Lille to launch a tirade against welfare handouts.
Cuba slaps new tax on food sales as economic woes hit hard
Cuba on Saturday announced a new 10 percent tax on retail food sales, as the country endures economic woes marked by rampant inflation.
Marchers demand justice for Congolese migrant brutally killed in Rio
Hundreds of people marched Saturday in Brazil to demand justice for a young Congolese immigrant who was beaten to death in a bar on a Rio de Janeiro beach.
Contact group urges resumed talks by Venezuela parties
A group of European and Latin American countries on Saturday urged Venezuelan authorities and opposition leaders to resume their dialogue in Mexico aimed at resolving the country's political and economic crises.
In city near border, Ukrainians protest Russian threat
A Ukrainian flag wrapped around her shoulders, pensioner Iryna Gayeva had a simple message as she demonstrated in second city Kharkiv on Saturday, just 40 kilometres from the Russian border.
'Widespread damage' feared as Cyclone Batsirai hits Madagascar
Cyclone Batsirai struck Madagascar's eastern region on Saturday with strong winds and heavy rain, the second storm to hit the island nation in just a few weeks, a senior meteorologist said.
French far-right hope Zemmour attacks welfare handouts
French far-right presidential candidate Eric Zemmour on Saturday used a meeting in the northern city of Lille to launch a tirade against welfare handouts.
Cyclone Batsirai nears Madagascar, 'widespread damage' feared
Powerful Cyclone Batsirai was closing in on eastern Madagascar Saturday as residents sought secure shelter or reinforced their roofs with sandbags after warnings that "widespread damage" was feared.
Iran says US sanctions move 'good but not enough'
US steps on lifting sanctions are "good but not enough", Iran said on Saturday, following Washington's announcement it was waiving sanctions on Iran's civilian nuclear programme.
Sculpture of Algerian hero vandalised in France
Vandals in central France damaged a sculpture of an Algerian military hero who resisted France's colonisation of the North African country, just hours before it was inaugurated Saturday, AFP journalists reported.
Israel dispute erupts at African Union summit
Palestinian prime minister Mohammed Shtayyeh on Saturday urged the African Union to withdraw Israel's accreditation, bringing simmering tensions to a head as the 55-member bloc opened a two-day summit in Addis Ababa.
Cyclone Batsirai approaches Madagascar, poses 'very serious threat'
Madagascar braced up for Cyclone Batsirai set to hit the eastern parts of the Indian Ocean island on Saturday, with powerful winds and torrential rains posing a "very serious threat" to millions.
Norway's Johaug wins first gold medal of Beijing Winter Olympics
Norwegian cross-country skier Therese Johaug won the first gold medal of the Beijing Olympics on Saturday as sport moved centre stage after a troubled build-up dominated by coronavirus and rights concerns.
China's Xi hosts world leader banquet after two years of isolation
Chinese President Xi Jinping hosted a banquet on Saturday for heads of state and international organisations attending the Winter Olympics, part of a diplomatic blitz following nearly two years without face-to-face meetings due to the pandemic.
Germany's Scholz seeks to build trust in Washington debut
Olaf Scholz makes his Washington debut as German chancellor on Monday, trying to dispel doubts over Berlin's resolve to stand up to Russia in the standoff over Ukraine.
Coups and Covid loom large at African Union summit
Heads of state gathered Saturday at the African Union headquarters to kick off a two-day summit as the continent reels from a spate of military coups and the coronavirus pandemic.
Russia rejects Colombian 'foreign interference' claims
Russia on Friday dismissed Colombian claims of "foreign interference" on the side of Venezuela as the South American neighbors quarrel over deadly fighting on their common border.
Sending mercenaries to Libya main income source for Darfur armed groups: UN
Providing mercenaries in Libya's internal conflict has become the main source of revenue for armed groups from Sudan's own war-torn Darfur region, the United Nations said in a report Friday.
US probe finds single attacker in Kabul evacuation bombing
An attack that killed at least 173 people including 13 US service members during the chaotic Kabul airport evacuation last year was undertaken by a single suicide bomber, a Pentagon investigation concluded Friday.